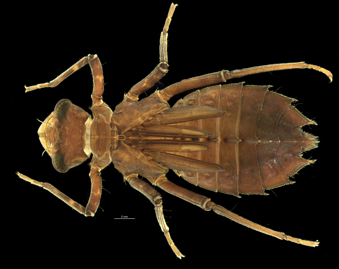
Onychothemis tonkinensis
Habitat: larva found in Man Uk Pin (in a single record)
General appearance: body relatively large sized, >26mm long; head wide with concave occipital margin, eyes protuding anterolaterally; legs with less pale markings (cf. conspicuous bands in Zygonyx iris); abdomen much round shaped with short lateral spines on abdominal segments VI - IX (cf. long spines on S8 & S9 in Z. iris) and dorsal spines on abdominal segments II - VIII (cf. on S2 - S10 in Z. iris)
![]() |
![]() |
![]() |
![]() |
![]() |
![]() |
![]() |
![]() |
![]() |
![]() |










