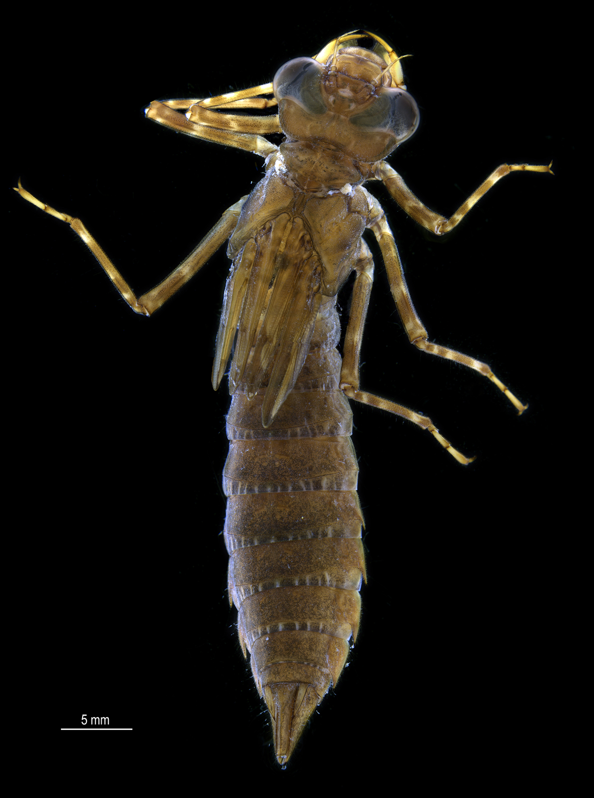
Polycanthagyna erythromelas (Tiger hawker)
Habitat: larvae found in slow-flowing streams or pools in uplands
General appearance: body very large sized, up to 50mm long; head pentagonal with occipital lobe rounded and large eyes, three pale crescent markings between eyes; apex of labial palp truncate with end hook; legs slender with dark markings; abdomen elongated spindle-shaped with many pale stripes on posterior intersegmented membrane; lateral spines on abdominal segments VI - IX, but without dorsal spine
![]() |
![]() |
![]() |
![]() |
![]() |
![]() |
![]() |
![]() |
![]() |
![]() |
![]() |
![]() |
|
After 7 months in captivity ... body color turned from olive to brown & wingpads extended up to anterior edge of abdominal segment V |
![]() |
![]() |
![]() |
![]() |
















